| 価格 | 4,190万円 ![]() |
||||
|---|---|---|---|---|---|
| 所在地 | 千葉県柏市西原4丁目
この地域周辺の物件を見る |
土地面積 | 132.27m² (40.01坪) | 建物面積 | 100.19u |
| 築年月 | 2025年10月築 | 間取り | 4LDK (-) | ||
| 交通 |
東武野田線 江戸川台 徒歩18分
東武野田線 初石 徒歩23分 |
||||
電話をかける(携帯・PHS可)
0120-444-702
「ホームページを見た」とお伝え下さい。
お問い合わせ番号をお伝えください
RHS-990976904
| 特徴 |
|
|---|---|
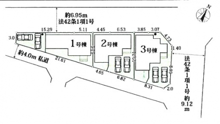
| セールスコメント | 法22条区域 第1種高度地区 宅地造成等工事規制区域 景観法 都市再生特別措置法 公有地拡大推進法 建ぺい率:角地緩和 敷地内都市計画道路(計画決定)3・4・25西原線16m有 私道負担割合:1/3 |
| 採光面 | - | 構造/階数 | 木造/地上2階建 |
|---|---|---|---|
| 建ぺい率 | 70(%) | 容積率 | 200(%) |
| 駐車場 | 有 | 現況/引渡し | 空家/即時 |
| 土地権利 | 所有権 | 私道負担面積 | あり 48m² |
| 接道状況 | 接道: 北東 公道 道路幅: 8.8m 接道: 北西 公道 道路幅: 6.8m 接道: 東南 私道 道路幅: 4m |
用途地域 | 第一種住居地域
|
| セットバック | なし | 法令上の制限 | - |
| 地目 | 宅地 | 地勢 | |
| 建築確認番号 | 第HPA-25-06751-1号 | 都市計画 | 市街化区域 |
| 取引態様 | 仲介 | ||
| 情報更新日 | 2025年11月08日 | 次回更新日 | 2025年11月22日 |
| 小学校区 | () |
中学校区 | () |
|---|
電話をかける(携帯・PHS可)
0120-444-702
「ホームページを見た」とお伝え下さい。
お問い合わせ番号をお伝えください
RHS-990976904
| 価格 | 万円 | ||
|---|---|---|---|
| 年利率 | % |
||
| ボーナス払い | 返済年数 | ||
| 頭金 | 直接入力する | 万円 | |

毎月のご返済額 |
ボーナス(×年2回) |
物件価格4,190万円 |
![]() |
![]() |
柏市西原4丁目
3990万円〜4190万円 |
電話でお問い合わせ
エムイーPLUS城東
|
電話をかける 0120-444-702 ※「ホームページを見た」とお伝えください。 |
お問い合わせ番号をお伝えください RHS-990976904 |
|---|
-